| 管理番号 | 0346-000211 |
|---|---|
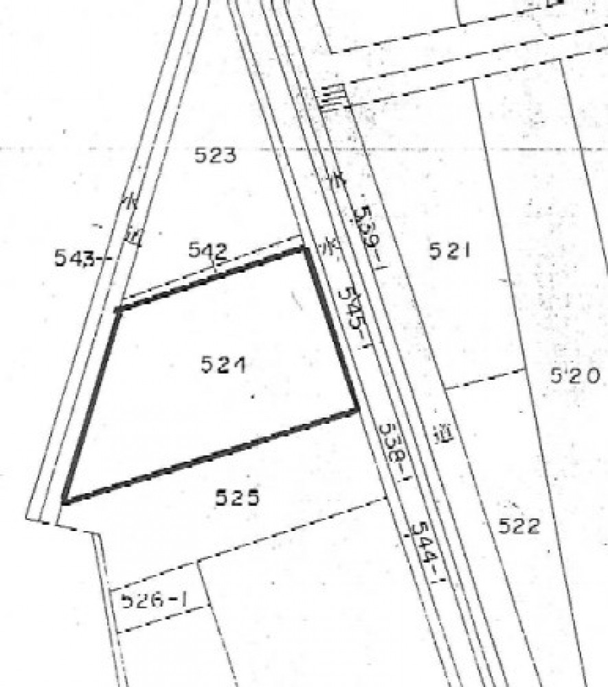
| 所在地 | 坂井市三国町錦4丁目 524 (MAP) |
| 土地面積 | 277㎡(83.79坪) |
| 価格 | 8,380,000円 |
|---|
※所得税、固定資産税、登記費用、保険料等は含まれておりません
| 私道負担(年額) | -円 |
|---|---|
| 仲介手数料(税込) | 342,540円 |
| 初期費用合計 | 342,540円 |
| 都市計画区域 | 非線引き都市計画区域 |
|---|---|
| 取引態様 | 仲介 |
| 用途地域 | 近隣商業地域 |
| 学校区 | 三国北小学校 / 三国中学校 |
| 建ぺい率 | 80% |
| 交通手段 | えちぜん鉄道三国芦原線 三国 6分 |
| 容積率 | 200% |
| 現況 | 更地 |
| 地目 | 雑種地 |
| 引渡日 | 相談 |
| 地勢 | 平坦 |
| 国土法 | - |
| 土地権利 | 所有権 |
| 開発許可 | - |
| 間口・接道 | - |
| 私道負担 | 無し |
| 備考 | - |
| 設備・機能 | - |
|---|---|
| 条件 | 現状渡し |
| 位置 | - |
| 工法・構造・仕様 | - |
| 調査・保証・保険 | - |
| 法令上の制限 | - |
| その他 | - |
| 会社名 | (株)西陣 |
|---|---|
| 所在地 | 〒913-0048 福井県坂井市三国町緑ケ丘4-15-35 |
| 免許番号 | 福井県知事免許(9)第908号 |
| FAX | 0776-82-7282 |
| 営業時間 | 9:00~18:00 |
| 定休日 | 日・祭・祝日、第2・4土曜日 |


