TOP >  売土地 - 条件から検索 >  物件一覧 >  坂井市三国町安島 東尋坊近く☆166坪×@6万円

売土地 坂井市三国町安島 東尋坊近く☆166坪×@6万円

POINT
東尋坊まで徒歩10分以内♪別荘・住宅地に!
管理番号 0346-000464
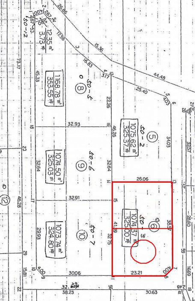
所在地 坂井市三国町安島 59-50-3 ② (MAP
土地面積 550㎡(166.38坪)
  • 上水道
  • 下水道
  • 側溝
  • 角地
  • 南道路
  • 閑静な住宅街
  • 分割可
  • 建築条件付
  • 整形地
  • 更地
価格 8,318,500

※所得税、固定資産税、登記費用、保険料等は含まれておりません

私道負担(年額) -
仲介手数料(税込) 340,511
初期費用合計 340,511
都市計画区域 非線引き都市計画区域
取引態様 仲介
用途地域 無指定
学校区 雄島小学校 / 三国中学校
建ぺい率 15% 角地
交通手段 えちぜん鉄道三国芦原線 三国港 31分
容積率 30%
現況 更地
地目 雑種地
引渡日 相談
地勢 -
国土法 -
土地権利 所有権
開発許可 -
間口・接道 東 : 間口20.4m、道路幅員6m 南 : 間口25.2m、道路幅員6m
私道負担 無し
備考 -
設備・機能 -
条件 現状渡し
位置 -
工法・構造・仕様 -
調査・保証・保険 -
法令上の制限 -
その他 自然公園法第二種特別地域
周辺地図を確認する

icon_mailお問い合わせ

会社名 (株)西陣
所在地 〒913-0048
福井県坂井市三国町緑ケ丘4-15-35
免許番号 福井県知事免許(9)第908号
FAX 0776-82-7282
営業時間 9:00~18:00
定休日 日・祭・祝日、第2・4土曜日

pagetop